Site Through Time:

Massachusetts Avenue and Main Street

 


The row of city blocks just north of Main Street and just east of Massachusetts Avenue in Cambridge, Massachusetts, defines two communities – one distinctly urban, the other almost suburban. Their struggle to coexist has obviously been uneasy, and if the occasional deserted lot or boarded window is any indicated, not particularly successful. But why would a neighborhood try to separate itself so completely from its adjacent industrial and commercial blocks, especially when the result may be hurting both? The answer lies in the originally suburban development of the site. This dichotomy, representative from the beginning of the difficult struggle between individuals’ homes and their workplaces, is the result of America’s suburbanization. Since the nineteenth century, the neighborhood formed by this intersection has survived the onslaught of commuter transportation and industry while struggling to maintain its sense of community. The result is a fairly static site that, once built-out, managed to maintain its two established, albeit conflicting, identities.


The original development of this community on the outskirts of Cambridge Port coincided with American suburbanization in the nineteenth century. In general, the attraction of the suburbs was their “easy access, pleasant surroundings, cheap land, or low taxes” (Jackson p. 29). Cambridge Port, however, was on the other side of the Charles River from Boston and was only easily accessible from what is now Harvard Square. Unlike much of present-day Boston, what would become the intersection of Main Street and Massachusetts Avenue was not underwater but situated on the bank of Little Cove (Boston, and its Environs). Although the name “Little Cove” sounds pleasant, the area was probably swampy and anything but. This leaves few plausible reasons for the development of this particular site, namely, cost and necessity. The land on this side of the Charles River was indubitably less expensive to purchase and maintain than property in the city. In the same way -- short of creating more land, which eventually happened -- Boston’s size limited the amount readily available. Cambridge Port also brought West Cambridge closer to Boston, following a path not interrupted by the large hill or plateau that would have hampered a connection between East and West Cambridge (Boston, and its Environs). By the time Boston and West Cambridge began straining their boundaries, Cambridge Port was, if not readily accessible, available.

 

 


Boston, and its Environs [map]. Circa 1800. Scale not given. Archiving Early America. <http://earlyamerica.com/earlyamerica/maps/bostonmap/bostonmap.jpeg> (March 2004).

Cambridge Port’s accessibility for suburbanization arrived in the form of the West Boston Bridge. What is now the Longfellow Bridge and the original layout for Main Street first appeared in an 1846 “Plan of Boston” (Smith). While the bridge may have already been constructed, the roads leading away from the river were still paper streets and did not always rest on existing land. However, this plan provided the basis for a grid of streets between Main Street, Harvard and Broadway after they diverged at the end of the West Boston Bridge (G. M. Hopkins and Co.). The cross streets were straight but created less-than-rectangular blocks because Main Street and School Street never ran parallel to Harvard and Broadway. The triangles created when this imperfect grid intersected Front Street and its parallel at Lafayette Square is anything but square. At the time, however, the streets where small enough that the unusually plots were not also insignificant. Nor were these roads intended to be used as frequently as Broadway and Harvard which provided more direct access to West Cambridge. Cambridge Port had not intended to become an important crossroads. As Jackson points out in Crabgrass Frontier: The Suburbanization of the United States:

 

 

“According to Henry Binford, [the unannexed villages of Cambridge and Somerville] developed three important suburban characteristics between 1800 and 1850: a set of clear municipal priorities, a preference for residential over commercial expansion, and a stubbornness to remain politically independent from Boston. [… The] early suburban residents differed from later commuters because they did not use public transportation and because their original residences were located on the periphery, not in Boston” (Jackson p. 21).  

Smith, George G. Plan of Boston Comprising a Part of Charlestown and Cambridge [map]. 1846. Scale not given. David Rumsey Collection. (March 2004).

 
The only buildings noted on an 1874 map, for instance, are a school and church. These support Binford’s claim and identify the few blocks just north of Little Cove as a suburban community (G. M. Hopkins and Co.). Thus, the area just north and south and at the westernmost end of Main Street, although still adjacent to the marshy Charles River in the mid-nineteenth century, developed into a wealthy residential suburb of Boston.  
 
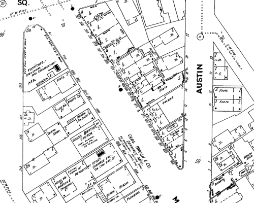
With the advent of public transportation, Cambridge Port developed a commercial front to present to Main Street’s increasing crowds. By 1860, not only were the Union Railroad and commuter lines in place, but a new horse railroad also brought people from West Cambridge and Brighton into what is now Central Square, down Main Street, and into Boston (Walling). Catering to its new traffic, “Peripheral towns [like Cambridge] patterned themselves after urban models and sought to project an image of dynamic growth” (Jackson p. 46). By 1900, the blocks on Main Street boast tightly packed shops – a furniture store, metal polishing shop, a printing studio, a bakery, and some offices, for example. At least initially, while Cambridge Port was still considered part of the periphery of Boston, it continued to exist as a suburb.  
  G. M. Hopkins and Co. Boston, and its Environs [map]. 1874. Scale not given. David Rumsey Collection. (March 2004).
 
   
Walling, H. F. Map of Boston and the Country Adjacent, from Actual Studies [map]. 1860. Scale not given. David Rumsey Collection. (March 2004).   Cambridge, MA [map]. 1900. Scale not given. “Sanborn Fire Insurance Maps, 1900-1940 vol. 1, 1900, Sheet 75”. <http://sanborn.umi.com/ma/3701/dateid-000001.htm>. (March 2004).
   
  However, as improved transportation brought the community into closer contact with the city and surrounding suburbs, a new industrial culture began developing as well. In general, for “the nineteenth-century metropolis, industrial location was largely determined by steamships and railroads. Where they met, and only there could factories […] fuel industrial enterprise” (Jackson p. 113). While Cambridge Port itself was not a center of industrial growth, it developed near these hubs and supported its own share of factories. The Home Spring Bed Co. and Blacker and Shepard’s furniture manufacturing buildings on State Street and the Hayward Confectionary Co. on Main each took up large sections of land that indicate large-scale manufacturing. Perhaps the most telling evidence of industry and the most disruptive to the residential community would even be recognized today: a machine shop and junk yard (Sanborn 1900). Hand in hand with these factories were the homes of lower class workers who could not afford to commute to work in Boston. For instance, a “Chine Laundry” indicates the presence of immigrants, and crowded rows of flats near the junk yard and tenements just farther east hint toward a population of increasingly higher density and lower income.

Cambridge, MA [map]. 1900. Scale not given. “Sanborn Fire Insurance Maps, 1900-1940 vol. 1, 1900, Sheet 75”. <http://sanborn.umi.com/ma/3701/dateid-000001.htm>. (March 2004).

 

   
However damning this evidence may appear, the blocks within the site continued to foster a suburban culture. Just outside of the city and the railroad ring with its industrial and immigrant workers “lay the new streetcar suburbs, the essence of the American achievement at the turn of the century. The residential structures that filled them were not elegant, but they were spacious and affordable” (Jackson p. 137). In general, “by 1870 detached housing had clearly emerged as the suburban style […]. […] Occasionally, a double house appeared, but it provided separate entrances and thick party walls, and designers emphasized that it was only a transitional structure for families on the way up” (56-7). These homes were exactly the sort that appeared on 1900 maps -- single or double homes, complete with yards and porches. Some residents, especially those behind the shops along Main Street, lived in flats, but by the 1870s, even apartment had become acceptable (90). The houses that exist on the site today represent the balloon frame construction that had just gained popularity in American culture, and many of the buildings have not moved from their original locations. As further evidence of a residential community, within these few blocks stood a Union Baptist Church, a Russian Zion Church, a Hall (perhaps a town hall), and the school that named School Street – Boardman’s School. By 1900, the area had reached its built-out point. While the buildings’ functions continued to change, the two cultures they had taken so long to define did not.
Cambridge, MA [map]. 1900. Scale not given. “Sanborn Fire Insurance Maps, 1900-1940 vol. 1, 1900, Sheet 50”. <http://sanborn.umi.com/ma/3701/dateid-000001.htm>. (March 2004).  
   
If anything, the Great Depression separated these two parts of the community even more. Industrially, the automobile had taken over. Even during the Great Depression, “the automobile never retreated. In all but the three deepest depression years, motor-vehicle registrations continued to rise” (Jackson p. 187). And so by 1934, a gas station appeared on Columbia Street, and the block just south of Main Street boasted two garages to house 150 and 40 cars apiece, benefiting the small shops along the two main streets and the candy factory that moved to the southern side of Main Street. Only one prominent section seemed to have declined so far that it had to be razed – leaving a tall brick wall to act as a billboard for an oatmeal advertisement that can still be seen today. The residential community suffered, but showed some strength in the structures it chose to erect. Some of the small homes became flats or were divided into smaller homes. Two additional churches appeared, one occupying the Hall. But perhaps the most telling change was the construction of a Community House in the place of a cluster of smaller sheds. And perhaps the most tragic was the school’s abandonment and subsequent vacancy. Overall, this intersection’s record during the Depression was impressive. Only a few lots were vacated; only a few were destroyed; and even the buildings proclaimed that the earlier sense of community had improved.
  Cambridge, MA [map]. 1934. Scale not given. “Sanborn Fire Insurance Maps, 1900-1940 vol. 1, 1934, Sheet 47”. <http://sanborn.umi.com/ma/3701/dateid-000001.htm>. (March 2004).
The structure of the communities have changed even less since then, following the trends of society but not reaching much farther than that. By 1950, the largest parking garage had become an auto body shop and today still houses vehicles in the guise of a U-Haul. The filling station on Columbia Street branched out into a motorcycle dealership and another took the place of the furniture shop at the acute intersection of Massachusetts Avenue and Main Street. However, both joined the “More than one hundred thousand gasoline stations [that …] have been eliminated in the last decade” (Jackson p. 271). The James O. Welsh candy facility developed the commercial section by establishing stores along Main Street that are now restaurants and offices. The residential community has not remained completely static either, converting the vacated school into a recreation center and later into some sort of continuing education facility. And in order to rectify the encroachment of one industrial block into residential domain, a new recreation center was just completed in place of the J. W. Greer Co. buildings. Individual facilities may have changed, but in the last half century, the overall culture of this intersection has not.  
  Cambridge, MA [map]. 1950. Scale not given. “Sanborn Fire Insurance Maps, Cambridge 1934-Mar.1950vol.1,1934-Feb.1950, Sheet 42 ”. <http://sanborn.umi.com/ma/3701/dateid-000001.htm>. (March 2004).
 
Changes in land use and ownership of these few blocks in Cambridge only provide slight clues as to the overall health of the site. And while most of the buildings are in use and have been recently painted, the site appears slightly rough around the edges. This could be the influence of the somewhat overbearing industrial and commercial section, of an unconcerned residential community (which is difficult to believe from the evidence provided in the Sanborn maps), or of the continued pressure between the two. Whether the section would appear more stable if the two parts had been integrated at some point is questionable. And if further development continues in the same direction as that experienced in the last fifty years, such integration will remain untested.

Jackson, Kenneth T. Crabgrass Frontier: The Suburbanization of the United States. New York, New York: Oxford University Press, 1985.
 
 
 

City of Cambridge Zoning Map [map]. 2001. Scale not given. <http://gis.cambridgema.gov/maplibrary/zoning.html>. (March 2004).

 
 
 
 
 

Back to "The City" Class Site

Home